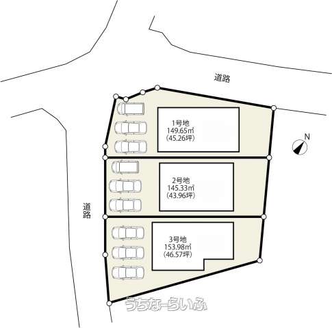
【3号地】建築条件なし✨お好きなハウスメーカーであなたの理想が詰まった住宅を建築できます🏠宮里小学校まで徒歩6分💛周辺環境充実のエリア🌈現地でのご説明も可能ですのでお気軽にお問い合わせください♪
売買土地沖縄市宮里2丁目 153.98㎡
価格 2,398万円
360°VR画像
パノラマ画像
物件情報
| 価格 | 2,398万円 | 坪単価 | 51.49万円 |
|---|---|---|---|
| 土地面積 | 153.98m² / 46.57坪 | 地目 | 雑種地 |
| 用途地域 | 第一種中高層 | 接道方向 / 道路幅員 | 西4.5m |
| 建ぺい率 / 容積率 | 60% / 200% | 取引態様 | 仲介 |
| 都市計画 | 非線引 | 土地権利 | 所有 |
| 私道負担 | 無し | 引き渡し | 即日 |
| 交通 | 【モノレール】てだこ浦西駅: 徒歩約217分 【バス停】宮里小学校前: 徒歩約4分 | 所在地 | 沖縄市宮里2丁目 地図 |
| 価格備考 | ご契約時、契約書へ貼付する収入印紙、手付金(契約申込金)が必要となります。*詳しくは担当者へご確認ください!! 無料資金計画・無料住宅ローン相談などご相談お待ちしております!! | ||
| 更新日 | 2025/12/16 | 公開期限 | 2025/12/29 |
この物件の設備・条件
| 立地 | 更地 |
|---|
物件備考
| 備考 | ・戸建て、マンションどちらがいいのかわからない ・住宅ローンが通るか不安 ・返済額、初期費用の額を知りたい などなど…不動産購入の不安、疑問をわかりやすくご説明致します☆ 資金計画や銀行の事前審査なども無料でご相談できますのでお気軽にお問い合わせください♪ |
|---|
【うちなーらいふ】は、より正確な情報の提供を心がけておりますが、物件情報に誤りがある場合は、ご連絡をお願い致します。
ご報告いただいた内容につきましては、掲載提供元である不動産会社に直接送信させていただきます。情報が不足している場合や、事実確認ができない場合などは対応できない場合がございます。
間違いを報告する























