人気の区画整理地内、小・中学校徒歩圏内!閑静な住宅地の角地!
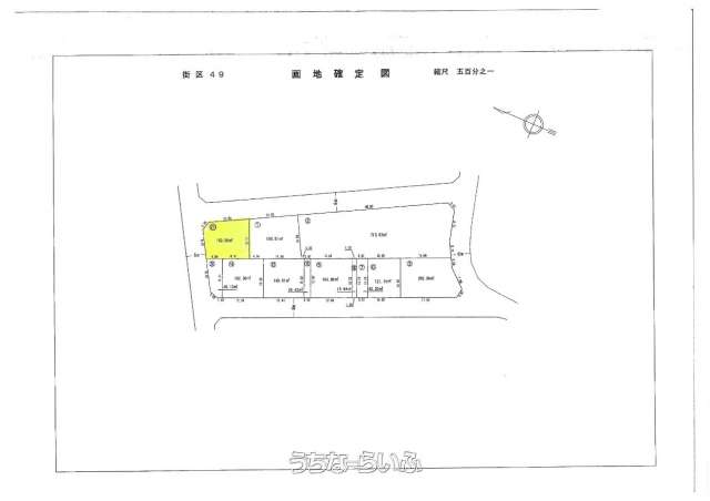
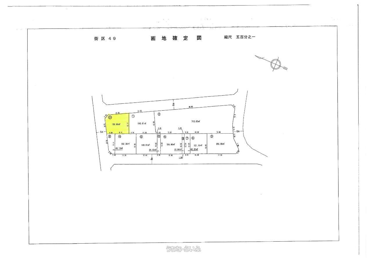
売買土地沖縄市宮里4丁目 159㎡
価格 2,885万円
物件情報
| 価格 | 2,885万円 | 坪単価 | 59.99万円 |
|---|---|---|---|
| 土地面積 | 159m² / 48.09坪 | 地目 | 宅地 |
| 用途地域 | 第一種低層 | 接道方向 / 道路幅員 | 北東6m、 北西6m |
| 建ぺい率 / 容積率 | 50% / 100% | 取引態様 | 仲介 |
| 都市計画 | 非線引 | 土地権利 | 所有 |
| 私道負担 | 無し | 引き渡し | 相談 |
| 交通 | 【バス停】宮里中学校前: 徒歩約6分 | 所在地 | 沖縄市宮里4丁目 地図 |
| 価格備考 | - | ||
| 更新日 | 2026/04/06 | 公開期限 | 2026/04/19 |
この物件の設備・条件
| 立地 | 角地 、 平坦地 、 更地 、 前道6m以上 、 低層住居専用地域 |
|---|---|
| その他 | プロパンガス 、 上水道 、 下水道 |
物件備考
| 備考 | - |
|---|
【掲載物件について】
・「うちなーらいふ」は、より正確な情報の提供を心がけておりますが、物件情報に誤りがある場合は、ご連絡をお願い致します。
・ご報告いただいた内容につきましては、掲載提供元である不動産会社に直接送信させていただきます。情報が不足している場合や、事実確認ができない場合などは対応できない場合がございます。
・本フォームは物件情報の誤りに関する報告専用です。賃貸・売買に関するお問い合わせには対応しておりませんので、あらかじめご了承ください。
こちらをクリックして物件の間違いを報告する。
















