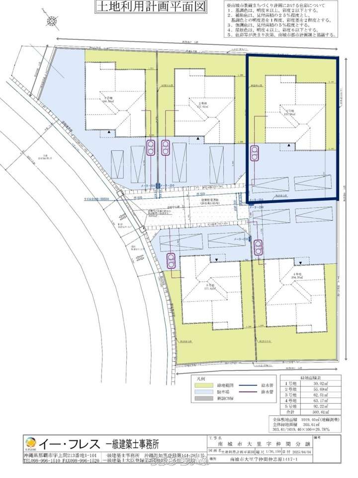
【3号地】【自由設計】【ZEH水準】【遮熱による省エネ】好評につき1・2・5号地成約済!残り2区画!!お早めに(^^♪自然に囲まれ、子育てにも老後の生活にも優しい南城市。路線バスの充実さも魅力です。
※売主の為仲介手数料はありません。
物件情報
| 価格 | 2,130万円 | 坪単価 | 35.57万円 |
|---|---|---|---|
| 土地面積 | 197.96m² / 59.88坪 | 地目 | 畑 |
| 用途地域 | 無指定 | 接道方向 / 道路幅員 | 南5m、 西 |
| 建ぺい率 / 容積率 | 60% / 200% | 取引態様 | 売主 |
| 都市計画 | 非線引 | 土地権利 | 所有 |
| 私道負担 | 有り | 引き渡し | 指定有り |
| 交通 | 【バス停】南小学校前: 徒歩約8分 | 所在地 | 南城市大里字仲間 地図 |
| 価格備考 | 売り主の為仲介手数料はありません | ||
| 更新日 | 2026/01/22 | 公開期限 | 2026/02/04 |
この物件の設備・条件
| 立地 | 平坦地 、 更地 |
|---|---|
| 建築条件 | 建築条件あり |
| その他 | プロパンガス 、 上水道 |
物件備考
| 備考 | - |
|---|
【うちなーらいふ】は、より正確な情報の提供を心がけておりますが、物件情報に誤りがある場合は、ご連絡をお願い致します。
ご報告いただいた内容につきましては、掲載提供元である不動産会社に直接送信させていただきます。情報が不足している場合や、事実確認ができない場合などは対応できない場合がございます。
間違いを報告する




















