☆戸建・アパート用地・店舗用地 ☆マックスバリュ南城大里・ファミリーマート・セブンイレブン近隣 ☆南風原町・与那原町・那覇・八重瀬町・南城市にアクセス良好 ☆コストコまで車で約20分
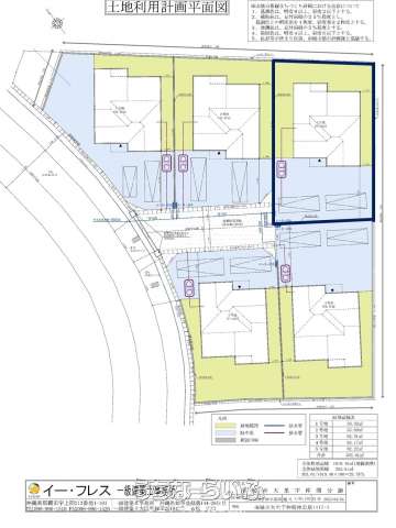
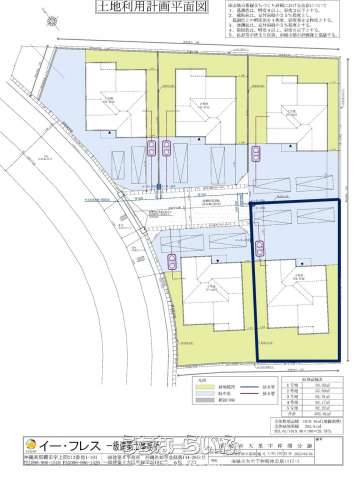
売買土地南城市大里字仲間 1035.09㎡
価格 1億4,085万円
物件情報
| 価格 | 1億4,085万円 | 坪単価 | - |
|---|---|---|---|
| 土地面積 | 1035.09m² / 313.11坪 | 地目 | 宅地 |
| 用途地域 | 未指定 | 接道方向 / 道路幅員 | - |
| 建ぺい率 / 容積率 | 60% / 200% | 取引態様 | 一般媒介 |
| 都市計画 | 非線引 | 土地権利 | 所有 |
| 私道負担 | 無し | 引き渡し | 相談 |
| 交通 | - | 所在地 | 南城市大里字仲間 地図 |
| 価格備考 | - | ||
| 更新日 | 2025/12/05 | 公開期限 | 2025/12/18 |
この物件の設備・条件
| 立地 | 平坦地 、 更地 |
|---|---|
| その他 | 上水道 |
| 設備備考 | 下水道無しの為、浄化槽設置必須 |
物件備考
| 備考 | ☆浄化槽設置必須 ☆坪313坪 ☆住宅用地・店舗用地もOK ☆南風原・与那原・那覇・八重瀬町にアクセス良好♪ ☆コストコまで車で20分 ☆特定用途制限地域該当(幹線道路沿道地区市街地型) ☆上水道配管前面道路75ミリ配管有 ☆非農地エリア |
|---|
【うちなーらいふ】は、より正確な情報の提供を心がけておりますが、物件情報に誤りがある場合は、ご連絡をお願い致します。
ご報告いただいた内容につきましては、掲載提供元である不動産会社に直接送信させていただきます。情報が不足している場合や、事実確認ができない場合などは対応できない場合がございます。
間違いを報告する
















