【更地引渡】未来のビジネスチャンスを手に入れよう!国道330号線沿いの268坪、大型商業地域で理想の土地活用を。アクセス抜群、周辺施設充実で、あなたの夢を形にする場所がここにあります。
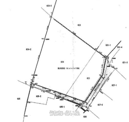
売買土地沖縄市久保田1丁目 886.81㎡
価格 1億6,500万円
物件情報
| 価格 | 1億6,500万円 | 坪単価 | 61.51万円 |
|---|---|---|---|
| 土地面積 | 886.81m² / 268.26坪 | 地目 | 宅地 |
| 用途地域 | 商業・第一種住居 | 接道方向 / 道路幅員 | 東3.5m、 西26.95m |
| 建ぺい率 / 容積率 | 80% / 400% | 取引態様 | 一般媒介 |
| 都市計画 | 非線引 | 土地権利 | 所有 |
| 私道負担 | 有り (142.98m2) 含まない | 引き渡し | 相談 |
| 交通 | 【バス停】山里 バス停: 徒歩約2分 | 所在地 | 沖縄市久保田1丁目 地図 |
| 価格備考 | - | ||
| 更新日 | 2025/12/01 | 公開期限 | 2025/12/14 |
この物件の設備・条件
| 立地 | 平坦地 、 更地 、 前道6m以上 、 前面棟無 |
|---|---|
| その他 | 上水道 、 下水道 |
物件備考
| 備考 | ※当該土地は2筆となっております。 ※当該土地敷地に含まれる既存道路は東側と南側に位置しております。 ※当該土地売買部分の表示面積は既存道路部分(セットバックを含む)面積を省いております。 ※当該と地上には現況、上物がございますが、更地引渡を予定しております。 ※当該土地は防火地域に指定されており、建築する際には外壁に対して防火構造の使用や、建築をする際に制限がかかります。 ~物件周辺インフォメーション~ この地域には、イオンモール沖縄ライカムやプラザハウス等様々な商業施設、スーパーが集まり、住民の生活に便利さと楽しさを提供していると感じます。人々が集まり、交流する場があることは、地域の活性化に寄与する重要な要素です。このような環境は、家族連れや若者にとって、住みやすさだけでなく、豊かなコミュニティの形成にも繋がりますネ。 |
|---|
【うちなーらいふ】は、より正確な情報の提供を心がけておりますが、物件情報に誤りがある場合は、ご連絡をお願い致します。
ご報告いただいた内容につきましては、掲載提供元である不動産会社に直接送信させていただきます。情報が不足している場合や、事実確認ができない場合などは対応できない場合がございます。
間違いを報告する



























