★建物プラン用意しています★
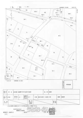
★里道も販売対象となり、使える面積が大きくなりました。
幅があるため、プラン次第では、奥行きのある大きめの住居の建築もよさそうです。
市街化調整区域内の土地ですが緩和区域のため、農業従事者でなくても一定の要件に該当する方は住宅用地としての利用が可能な土地です。郊外の住宅地のエリアなので静かな住環境となっております。マイホームを検討されている方いかがですか?
売買土地八重瀬町世名城 293.97㎡
価格 1,380万円
物件情報
| 価格 | 1,380万円 | 坪単価 | 15.52万円 |
|---|---|---|---|
| 土地面積 | 293.97m² / 88.92坪 | 地目 | 畑 |
| 用途地域 | - | 接道方向 / 道路幅員 | 西5m |
| 建ぺい率 / 容積率 | 60% / 200% | 取引態様 | 一般媒介 |
| 都市計画 | 市街化調整区域 | 土地権利 | 所有 |
| 私道負担 | 無し | 引き渡し | 即日 |
| 交通 | - | 所在地 | 八重瀬町世名城 地図 |
| 価格備考 | - | ||
| 更新日 | 2026/01/24 | 公開期限 | 2026/02/06 |
この物件の設備・条件
| 立地 | 平坦地 、 更地 |
|---|
物件備考
| 備考 | ・農地転用 ・開発許可申請 が必要です。 |
|---|
【うちなーらいふ】は、より正確な情報の提供を心がけておりますが、物件情報に誤りがある場合は、ご連絡をお願い致します。
ご報告いただいた内容につきましては、掲載提供元である不動産会社に直接送信させていただきます。情報が不足している場合や、事実確認ができない場合などは対応できない場合がございます。
間違いを報告する

























