八重瀬町世名城 自己用住の立地緩和区域☆建築条件付き RC25坪土地建物込3,800万円☆どうぞお気軽にお問い合わせください
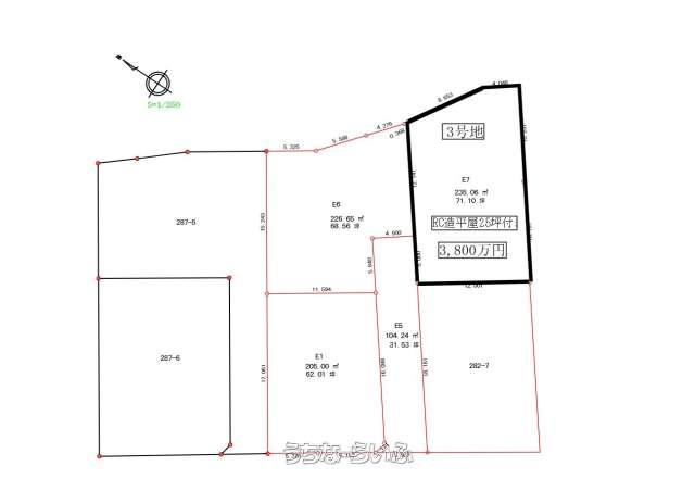
売買土地八重瀬町世名城 235.04㎡
価格 980万円
物件情報
| 価格 | 980万円 | 坪単価 | 13.78万円 |
|---|---|---|---|
| 土地面積 | 235.04m² / 71.1坪 | 地目 | 雑種地 |
| 用途地域 | 無指定 | 接道方向 / 道路幅員 | 南西 |
| 建ぺい率 / 容積率 | 60% / 200% | 取引態様 | 専任媒介 |
| 都市計画 | 市街化調整区域 | 土地権利 | 所有 |
| 私道負担 | 無し | 引き渡し | 相談 |
| 交通 | - | 所在地 | 八重瀬町世名城 地図 |
| 価格備考 | 土地:980万円 建築条件付き 2,820万円(RC25坪)☆自由設計 ☆どうぞお気軽にお問い合わせください。 | ||
| 更新日 | 2026/05/09 | 公開期限 | 2026/05/22 |
この物件の設備・条件
| 立地 | 更地 |
|---|---|
| 建築条件 | 建築条件あり |
| その他 | プロパンガス 、 上水道 |
物件備考
| 備考 | RC25坪 平屋 自由設計 ☆図面はイメージ図です |
|---|
【掲載物件について】
・「うちなーらいふ」は、より正確な情報の提供を心がけておりますが、物件情報に誤りがある場合は、ご連絡をお願い致します。
・ご報告いただいた内容につきましては、掲載提供元である不動産会社に直接送信させていただきます。情報が不足している場合や、事実確認ができない場合などは対応できない場合がございます。
・本フォームは物件情報の誤りに関する報告専用です。賃貸・売買に関するお問い合わせには対応しておりませんので、あらかじめご了承ください。
こちらをクリックして物件の間違いを報告する。









