未登記の古家あり、建物古く現状での引渡しの為解体費用が別途掛かります。コストコ南城倉庫店まで車で3分!(建物は雨漏り、室内屋外経年劣化、給排水管破損汚損等ありますが、リフォームして倉庫としての利用のみ可能かと思われます。住宅はNGです。未登記ですので買手様にて解体前提の土地売買契約となりますので予めご了承下さい。)
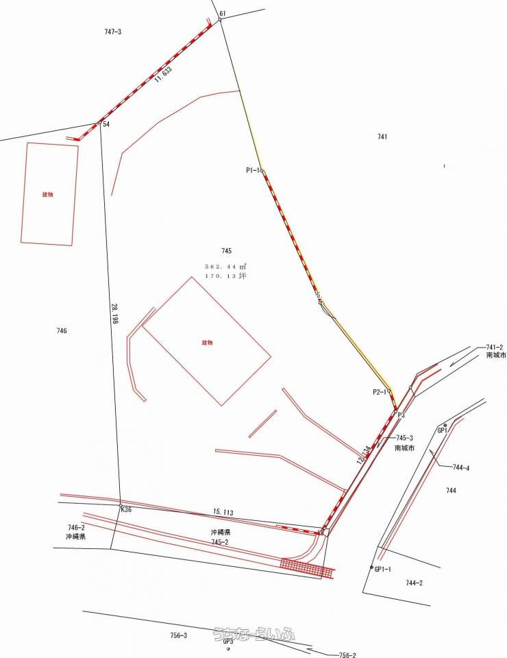
売買土地南城市玉城字仲村渠 499.98㎡
価格 1,200万円
物件情報
| 価格 | 1,200万円 | 坪単価 | - |
|---|---|---|---|
| 土地面積 | 499.98m² / 151.24坪 | 地目 | 宅地 |
| 用途地域 | 未指定 | 接道方向 / 道路幅員 | - |
| 建ぺい率 / 容積率 | 70% / 200% | 取引態様 | 仲介 |
| 都市計画 | 非線引 | 土地権利 | 所有 |
| 私道負担 | 無し | 引き渡し | 相談 |
| 交通 | - | 所在地 | 南城市玉城字仲村渠 |
| 価格備考 | - | ||
| 更新日 | 2026/02/04 | 公開期限 | 2026/02/17 |
この物件の設備・条件
| 立地 | 角地 |
|---|---|
| 状況 | 古家あり |
| その他 | プロパンガス 、 上水道 、 下水道 |
物件備考
| 備考 | ※未登記建物約26.9㎡です。(トタン屋根・雨漏りあり) ※所有権移転費用は買手負担となります。 |
|---|
【うちなーらいふ】は、より正確な情報の提供を心がけておりますが、物件情報に誤りがある場合は、ご連絡をお願い致します。
ご報告いただいた内容につきましては、掲載提供元である不動産会社に直接送信させていただきます。情報が不足している場合や、事実確認ができない場合などは対応できない場合がございます。
間違いを報告するタフホーム株式会社
| 住所 | 沖縄県那覇市寄宮 148-6 102 地図 |
|---|---|
| 営業時間 | 月-金 09:00〜18:00 第1、3土曜日 10:00〜16:00 |
| 定休日 | 日曜・祝日・第2、第4、第5土曜日 |
| 免許 | 沖縄県知事免許番号(2)第5160号 |








