人気エリアに売地でました。分筆OK!!
ジャングリア沖縄まで車で約15分!
お気軽にお問合せください。
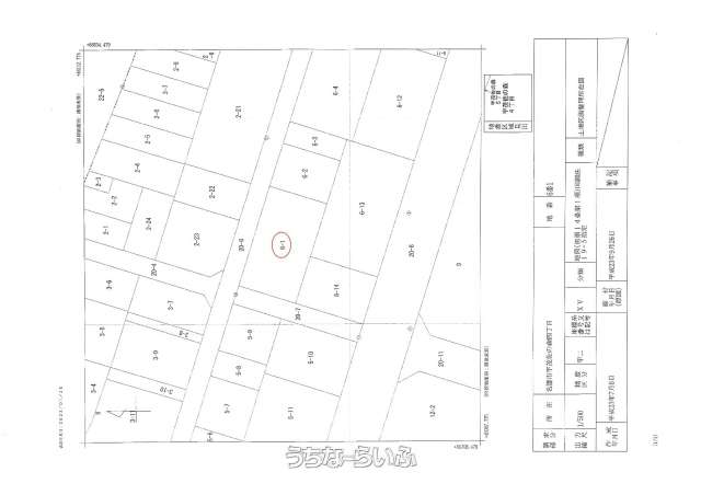
売買土地名護市宇茂佐の森4丁目 630.2㎡
価格 6,300万円
物件情報
| 価格 | 6,300万円 | 坪単価 | 33.05万円 |
|---|---|---|---|
| 土地面積 | 630.2m² / 190.64坪 | 地目 | 宅地 |
| 用途地域 | 第一種中高層 | 接道方向 / 道路幅員 | 北32m、 西18m |
| 建ぺい率 / 容積率 | 60% / 200% | 取引態様 | 売主 |
| 都市計画 | 非線引 | 土地権利 | 所有 |
| 私道負担 | 無し | 引き渡し | 即日 |
| 交通 | 【バス停】北部会館前: 徒歩約3分 | 所在地 | 名護市宇茂佐の森4丁目 地図 |
| 価格備考 | 別途費用:【登記費用】【契約書貼付用収入印紙1万~3万円】等 | ||
| 更新日 | 2026/05/11 | 公開期限 | 2026/05/24 |
この物件の設備・条件
| 立地 | 角地 、 更地 |
|---|---|
| その他 | 上水道 、 下水道 |
物件備考
| 備考 | 間知ブロック(擁壁)の撤去が必要。 現況引渡し。 ※分筆販売できます。(要相談) 〇分筆販売価格 ・A区画 2,100万円 ・B区画 2,100万円 ・C区画 2,100万円 |
|---|
【掲載物件について】
・「うちなーらいふ」は、より正確な情報の提供を心がけておりますが、物件情報に誤りがある場合は、ご連絡をお願い致します。
・ご報告いただいた内容につきましては、掲載提供元である不動産会社に直接送信させていただきます。情報が不足している場合や、事実確認ができない場合などは対応できない場合がございます。
・本フォームは物件情報の誤りに関する報告専用です。賃貸・売買に関するお問い合わせには対応しておりませんので、あらかじめご了承ください。
こちらをクリックして物件の間違いを報告する。株式会社 万保
| 住所 | 沖縄県名護市為又 1220-287 地図 |
|---|---|
| 営業時間 | 09:00〜17:30 お客様のご都合に合わせて17:30以降もご相談可能です。 |
| 定休日 | 土・日・年末年始・GW |
| 免許 | 沖縄県知事免許(3)第4507号 |












