眺望良好♪♪♪自然豊かな高台の土地♪♪♪
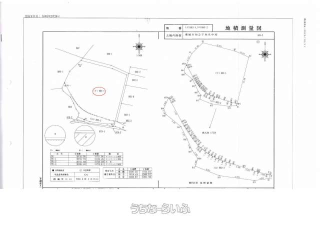
売買土地南城市知念字知名 1144㎡
価格 4,500万円
物件情報
| 価格 | 4,500万円 | 坪単価 | 13万円 |
|---|---|---|---|
| 土地面積 | 1144m² / 346.06坪 | 地目 | 原野 |
| 用途地域 | 未指定 | 接道方向 / 道路幅員 | 南4.8m |
| 建ぺい率 / 容積率 | 70% / 200% | 取引態様 | 専属専任媒介 |
| 都市計画 | 非線引 | 土地権利 | 所有 |
| 私道負担 | 無し | 引き渡し | 相談 |
| 交通 | - | 所在地 | 南城市知念字知名 地図 |
| 価格備考 | - | ||
| 更新日 | 2026/03/06 | 公開期限 | 2026/03/19 |
この物件の設備・条件
| 立地 | 高台 、 更地 、 南道路 |
|---|
物件備考
| 備考 |
|---|
【うちなーらいふ】は、より正確な情報の提供を心がけておりますが、物件情報に誤りがある場合は、ご連絡をお願い致します。
ご報告いただいた内容につきましては、掲載提供元である不動産会社に直接送信させていただきます。情報が不足している場合や、事実確認ができない場合などは対応できない場合がございます。
間違いを報告する










