🌺間口広々約20m 🌺閑静な住宅街 ☆屋部小学校区、車で3分☆『一級建築士の無料プラン相談会受付中』ご連絡お待ちしております♪《建築条件付売地》 🌺売主につき仲介手数料不要
売買土地名護市屋部 120㎡
価格 726万円
物件情報
| 価格 | 726万円 | 坪単価 | 20.01万円 |
|---|---|---|---|
| 土地面積 | 120m² / 36.29坪 | 地目 | 田 |
| 用途地域 | 未指定 | 接道方向 / 道路幅員 | 北4m |
| 建ぺい率 / 容積率 | 60% / 200% | 取引態様 | 売主 |
| 都市計画 | 非線引 | 土地権利 | 所有 |
| 私道負担 | 無し | 引き渡し | 相談 |
| 交通 | 【バス停】屋部: 徒歩約6分 | 所在地 | 名護市屋部 地図 |
| 価格備考 | - | ||
| 更新日 | 2025/12/04 | 公開期限 | 2025/12/17 |
この物件の設備・条件
| 立地 | 更地 |
|---|---|
| 建築条件 | 建築条件あり |
| 設備備考 | 【注文建築:ご相談事前予約受付中!】【一級建築士の無料プラン相談受付中!】【住宅ローンアドバイザーの資金計画無料相談受付中!】【相続無料相談受付中!】※どんな些細なことでも構いません。お気軽にお問合せお待ちしております。 |
物件備考
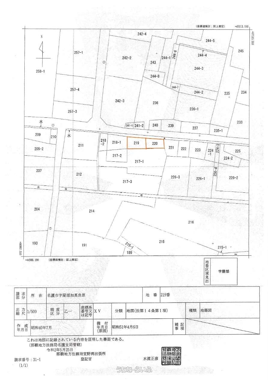
| 備考 | ・地番219番66平米(地目:雑種地)、220番54平米(地目:田) |
|---|
【うちなーらいふ】は、より正確な情報の提供を心がけておりますが、物件情報に誤りがある場合は、ご連絡をお願い致します。
ご報告いただいた内容につきましては、掲載提供元である不動産会社に直接送信させていただきます。情報が不足している場合や、事実確認ができない場合などは対応できない場合がございます。
間違いを報告する





























