ジャングリアまで車で約5分。アパート、店舗、マンション、アパート、ヤードなど用途多彩区域です。コンビニ徒歩5分、役場まで来るまで約5分。南向けの物件で陽当り良好。
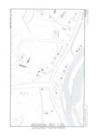
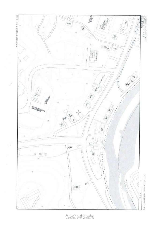
売買土地名護市宇茂佐 784.6㎡
価格 3,916万円
物件情報
| 価格 | 3,916万円 | 坪単価 | 16.5万円 |
|---|---|---|---|
| 土地面積 | 784.6m² / 237.34坪 | 地目 | その他 |
| 用途地域 | 未指定 | 接道方向 / 道路幅員 | 南5m、 南西33m |
| 建ぺい率 / 容積率 | 60% / 200% | 取引態様 | 仲介 |
| 都市計画 | 非線引 | 土地権利 | 所有 |
| 私道負担 | 無し | 引き渡し | 相談 |
| 交通 | - | 所在地 | 名護市宇茂佐 |
| 価格備考 | 価格変更 | ||
| 更新日 | 2025/12/16 | 公開期限 | 2025/12/29 |
この物件の設備・条件
| 立地 | 角地 、 平坦地 、 2沿線以上利用可 、 前道6m以上 、 南道路 、 前面棟無 、 海沿い |
|---|---|
| その他 | プロパンガス 、 上水道 、 下水道 、 赤土 |
物件備考
| 備考 | 土砂災害特別警戒区域、田、畑の地目は農地転用第5条の許可必要 |
|---|
【うちなーらいふ】は、より正確な情報の提供を心がけておりますが、物件情報に誤りがある場合は、ご連絡をお願い致します。
ご報告いただいた内容につきましては、掲載提供元である不動産会社に直接送信させていただきます。情報が不足している場合や、事実確認ができない場合などは対応できない場合がございます。
間違いを報告する














