東シナ海の伊江島を眺める眺望は最高のパノラマ。リゾート地、研修施設、ヤード、アパートなど色いろいろな用途に利用できます。
【農地法第5条による事業計画変更届で必要】
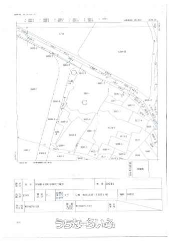
売買土地本部町瀬底 1214㎡
価格 7,000万円
物件情報
| 価格 | 7,000万円 | 坪単価 | 19.06万円 |
|---|---|---|---|
| 土地面積 | 1214m² / 367.23坪 | 地目 | 畑 |
| 用途地域 | 未指定 | 接道方向 / 道路幅員 | 北東30m、 南西30m |
| 建ぺい率 / 容積率 | 60% / 200% | 取引態様 | 一般媒介 |
| 都市計画 | 非線引 | 土地権利 | 所有 |
| 私道負担 | - | 引き渡し | 相談 |
| 交通 | 【バス停】石嘉波(イチャハ): 徒歩約20分 | 所在地 | 本部町瀬底 |
| 価格備考 | - | ||
| 更新日 | 2025/12/16 | 公開期限 | 2025/12/29 |
この物件の設備・条件
| 立地 | 角地 、 平坦地 、 更地 、 2沿線以上利用可 、 前道6m以上 、 海沿い 、 海まで徒歩10分以内 |
|---|---|
| その他 | プロパンガス 、 上水道 、 赤土 |
物件備考
| 備考 | - |
|---|
【うちなーらいふ】は、より正確な情報の提供を心がけておりますが、物件情報に誤りがある場合は、ご連絡をお願い致します。
ご報告いただいた内容につきましては、掲載提供元である不動産会社に直接送信させていただきます。情報が不足している場合や、事実確認ができない場合などは対応できない場合がございます。
間違いを報告する

































