中心地の角地!住居、オフィス、店舗、さまざまな用途に最適です!
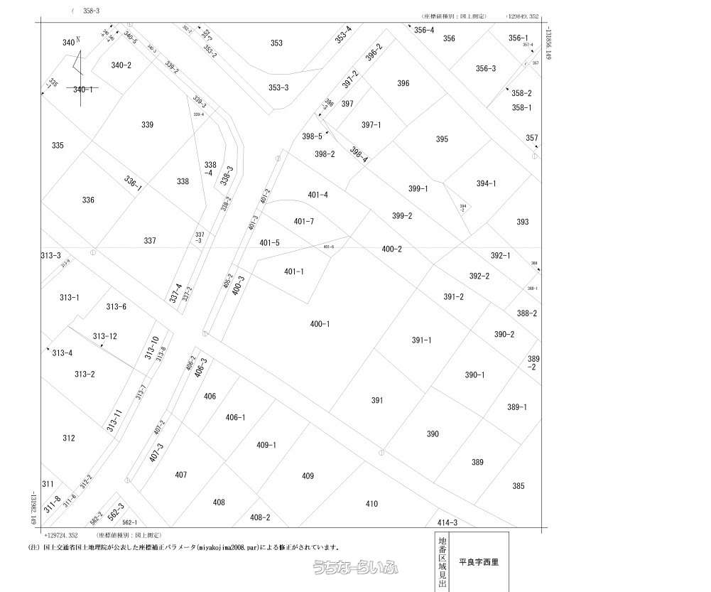
売買土地宮古島市平良字西里 186.52㎡
価格 4,500万円
物件情報
| 価格 | 4,500万円 | 坪単価 | 79.76万円 |
|---|---|---|---|
| 土地面積 | 186.52m² / 56.42坪 | 地目 | 宅地 |
| 用途地域 | 近商 | 接道方向 / 道路幅員 | 北西 |
| 建ぺい率 / 容積率 | 80% / 200% | 取引態様 | 売主 |
| 都市計画 | 非線引 | 土地権利 | 所有 |
| 私道負担 | 無し | 引き渡し | 相談 |
| 交通 | - | 所在地 | 宮古島市平良字西里 地図 |
| 価格備考 | - | ||
| 更新日 | 2026/04/28 | 公開期限 | 2026/05/11 |
この物件の設備・条件
| 立地 | 角地 、 平坦地 、 更地 |
|---|---|
| その他 | 上水道 |
物件備考
| 備考 | H28年に土壌汚染調査実施。調査対象地における土壌汚染はないと判断されております。 本物件前面道路(北西側)は都市計画道路であり、整備が計画決定しており、現在事業中になります。 |
|---|
【掲載物件について】
・「うちなーらいふ」は、より正確な情報の提供を心がけておりますが、物件情報に誤りがある場合は、ご連絡をお願い致します。
・ご報告いただいた内容につきましては、掲載提供元である不動産会社に直接送信させていただきます。情報が不足している場合や、事実確認ができない場合などは対応できない場合がございます。
・本フォームは物件情報の誤りに関する報告専用です。賃貸・売買に関するお問い合わせには対応しておりませんので、あらかじめご了承ください。
こちらをクリックして物件の間違いを報告する。






