まとまった坪数の売土地でました♪
使用用途は様々です。お気軽にお問合せ下さい。
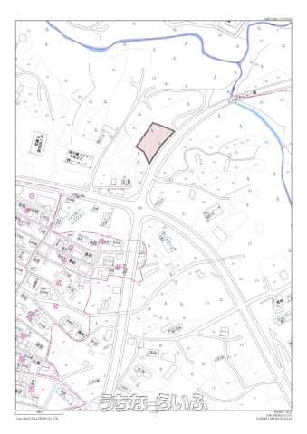
売買土地沖縄市登川 1408㎡
価格 1億7,887万円
物件情報
| 価格 | 1億7,887万円 | 坪単価 | 42万円 |
|---|---|---|---|
| 土地面積 | 1408m² / 425.92坪 | 地目 | 山林 |
| 用途地域 | 未指定 | 接道方向 / 道路幅員 | - |
| 建ぺい率 / 容積率 | 70% / 200% | 取引態様 | 一般媒介 |
| 都市計画 | 非線引 | 土地権利 | 所有 |
| 私道負担 | 無し | 引き渡し | 相談 |
| 交通 | - | 所在地 | 沖縄市登川 |
| 価格備考 | *現況、現場事務所として一時使用賃貸契約中 契約満了期日令和8年4月末日・月額地代:340,000円 | ||
| 更新日 | 2026/01/30 | 公開期限 | 2026/02/12 |
物件備考
| 備考 | まとまった坪数の売土地でました♪ 使用用途は様々です。お気軽にお問合せ下さい。 |
|---|
【うちなーらいふ】は、より正確な情報の提供を心がけておりますが、物件情報に誤りがある場合は、ご連絡をお願い致します。
ご報告いただいた内容につきましては、掲載提供元である不動産会社に直接送信させていただきます。情報が不足している場合や、事実確認ができない場合などは対応できない場合がございます。
間違いを報告する











