★北中城村渡口★役場の近くで交通便利★
土地面積は約50.82坪です。
お気軽にお問合せ下さい!(^^)!
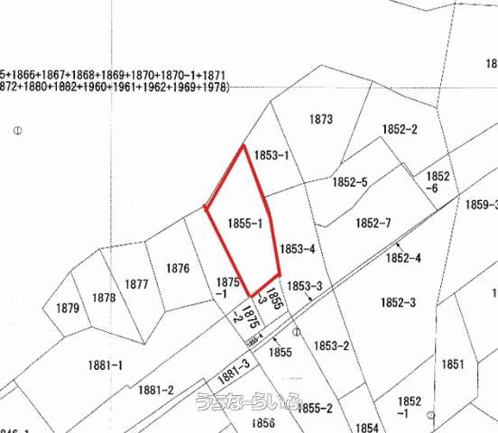
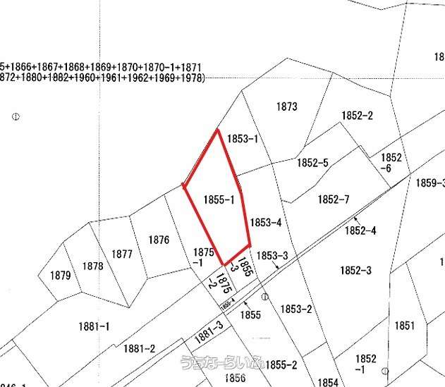
売買土地北中城村渡口 168㎡
価格 1,280万円
物件情報
| 価格 | 1,280万円 | 坪単価 | 25.19万円 |
|---|---|---|---|
| 土地面積 | 168m² / 50.82坪 | 地目 | 墓地 |
| 用途地域 | 第二種住居 | 接道方向 / 道路幅員 | 東4m |
| 建ぺい率 / 容積率 | 60% / 200% | 取引態様 | 専属専任媒介 |
| 都市計画 | 市街化区域 | 土地権利 | 所有 |
| 私道負担 | 無し | 引き渡し | 相談 |
| 交通 | 【バス停】渡口: 徒歩約3分 | 所在地 | 北中城村渡口 |
| 価格備考 | - | ||
| 更新日 | 2026/05/18 | 公開期限 | 2026/05/31 |
この物件の設備・条件
| 立地 | 高台 、 更地 |
|---|
物件備考
| 備考 | 近くには病院やサンエー・ライカムなどの施設もあり、生活しやすい環境 景色と利便性の両方を大切にしたい方におすすめの物件です。 ※がけ地条例あり |
|---|
【掲載物件について】
・「うちなーらいふ」は、より正確な情報の提供を心がけておりますが、物件情報に誤りがある場合は、ご連絡をお願い致します。
・ご報告いただいた内容につきましては、掲載提供元である不動産会社に直接送信させていただきます。情報が不足している場合や、事実確認ができない場合などは対応できない場合がございます。
・本フォームは物件情報の誤りに関する報告専用です。賃貸・売買に関するお問い合わせには対応しておりませんので、あらかじめご了承ください。
こちらをクリックして物件の間違いを報告する。














