嘉手納飛行場【55倍値引き→52倍!】単独名義!滑走路の物件。年間借地料1,128,418円。宅地見込地!3筆に分筆済み、将来の多様化にも便利!
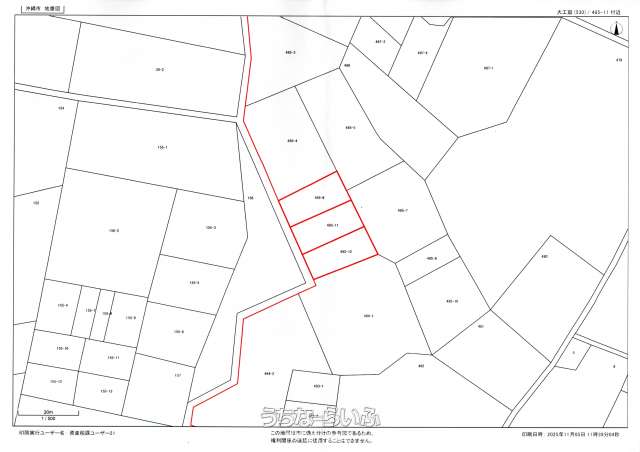
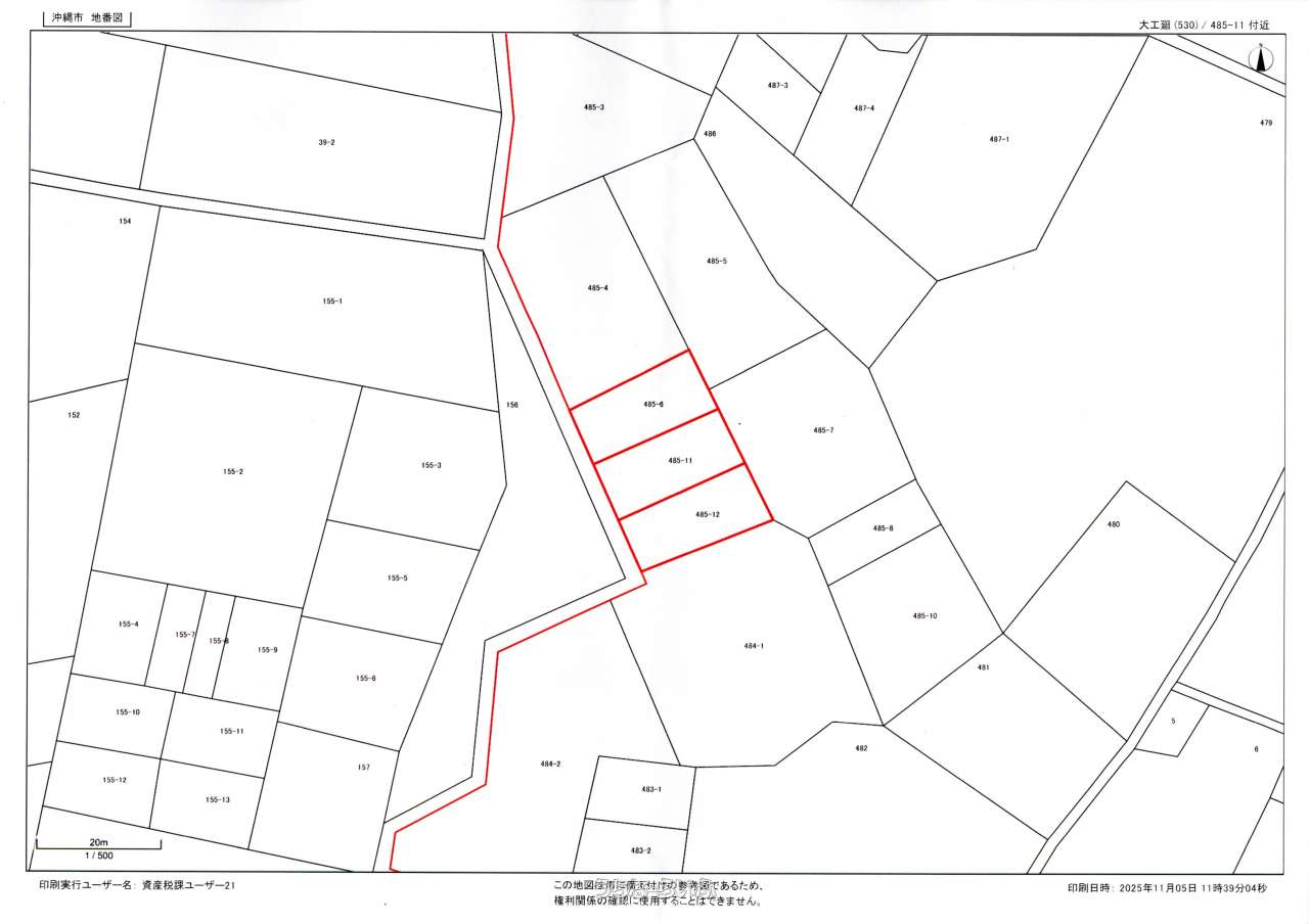
売買土地沖縄市大工廻 654㎡
価格 5,868万円
物件情報
| 価格 | 5,868万円 | 坪単価 | 29.66万円 |
|---|---|---|---|
| 土地面積 | 654m² / 197.83坪 | 地目 | 雑種地 |
| 用途地域 | - | 接道方向 / 道路幅員 | - |
| 建ぺい率 / 容積率 | - / - | 取引態様 | 仲介 |
| 都市計画 | 非線引 | 土地権利 | 所有 |
| 私道負担 | 無し | 引き渡し | 相談 |
| 交通 | - | 所在地 | 沖縄市大工廻 地図 |
| 価格備考 | - | ||
| 更新日 | 2026/05/18 | 公開期限 | 2026/05/31 |
この物件の設備・条件
| 状況 | 軍用地 |
|---|
物件備考
| 備考 | 宅地見込地!3筆に分筆済み、将来の多様化にも便利! |
|---|
【掲載物件について】
・「うちなーらいふ」は、より正確な情報の提供を心がけておりますが、物件情報に誤りがある場合は、ご連絡をお願い致します。
・ご報告いただいた内容につきましては、掲載提供元である不動産会社に直接送信させていただきます。情報が不足している場合や、事実確認ができない場合などは対応できない場合がございます。
・本フォームは物件情報の誤りに関する報告専用です。賃貸・売買に関するお問い合わせには対応しておりませんので、あらかじめご了承ください。
こちらをクリックして物件の間違いを報告する。











