〇軍用地物件!!嘉手納基地内の軍用地【50倍】宅地見込 年間借地料433,077円・長期安定収益物件や相続対策としておすすめです!!
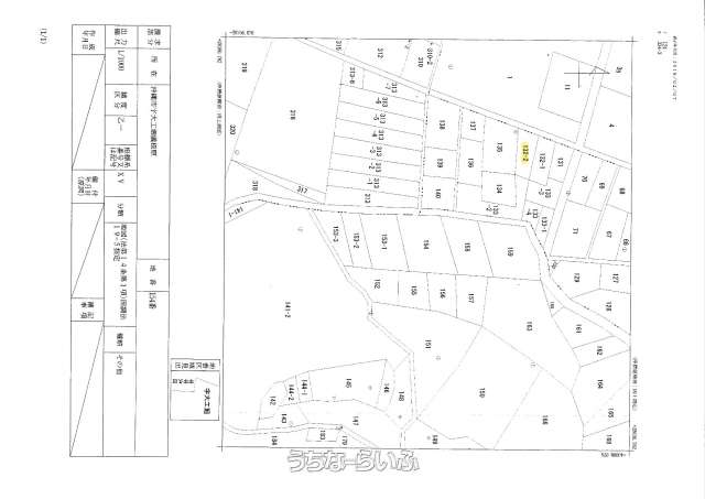
売買土地沖縄市大工廻 251㎡
価格 2,165万円
物件情報
| 価格 | 2,165万円 | 坪単価 | - |
|---|---|---|---|
| 土地面積 | 251m² / 75.92坪 | 地目 | 畑 |
| 用途地域 | 未指定 | 接道方向 / 道路幅員 | - |
| 建ぺい率 / 容積率 | - / - | 取引態様 | 一般媒介 |
| 都市計画 | 非線引 | 土地権利 | 所有 |
| 私道負担 | - | 引き渡し | 相談 |
| 交通 | - | 所在地 | 沖縄市大工廻 |
| 価格備考 | - | ||
| 更新日 | 2025/10/31 | 公開期限 | 2025/11/13 |
この物件の設備・条件
| 状況 | 軍用地 |
|---|
物件備考
| 備考 | ・決済時年間借地料・公租公課日割り精算 ・仲介手数料:売買価格×3%+6万円+消費税 ・宅地見込地 |
|---|
【うちなーらいふ】は、より正確な情報の提供を心がけておりますが、物件情報に誤りがある場合は、ご連絡をお願い致します。
ご報告いただいた内容につきましては、掲載提供元である不動産会社に直接送信させていただきます。情報が不足している場合や、事実確認ができない場合などは対応できない場合がございます。
間違いを報告する株式会社大宮総合開発 不動産部
| 住所 | 沖縄県名護市宇茂佐 1701-1 地図 |
|---|---|
| 営業時間 | 平日 09:00〜17:30 土曜日 09:00〜17:00 |
| 定休日 | 第2土曜日・年末年始・GW |
| 免許 | 沖縄県知事(1)第5698号 |











