沖縄市比屋根から大型売地463坪☆高台☆
ヤード・収益物件としても良し!!
お気軽にお問い合わせください。
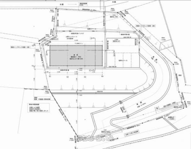
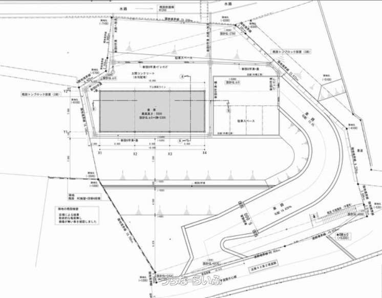
売買土地沖縄市比屋根7丁目 1534㎡
価格 1億4,500万円
物件情報
| 価格 | 1億4,500万円 | 坪単価 | 31.25万円 |
|---|---|---|---|
| 土地面積 | 1534m² / 464.04坪 | 地目 | 宅地 |
| 用途地域 | 未指定 | 接道方向 / 道路幅員 | 北西 |
| 建ぺい率 / 容積率 | 70% / 200% | 取引態様 | 仲介 |
| 都市計画 | 非線引 | 土地権利 | 所有 |
| 私道負担 | - | 引き渡し | 相談 |
| 交通 | 【バス停】高原南 | 所在地 | 沖縄市比屋根7丁目 地図 |
| 価格備考 | - | ||
| 更新日 | 2025/12/30 | 公開期限 | 2026/01/12 |
この物件の設備・条件
| 立地 | 高台 |
|---|---|
| その他 | 上水道 、 下水道 |
物件備考
| 備考 | ◆景観法該当 ◆所有者移転の為、契約から決済までの期間を6カ月有す。 ◆売却から定期借家2年、月額60万円にて現所有者にて賃貸も可 ※前面道路1項3号道路(既存道路)合計:5筆 |
|---|
【うちなーらいふ】は、より正確な情報の提供を心がけておりますが、物件情報に誤りがある場合は、ご連絡をお願い致します。
ご報告いただいた内容につきましては、掲載提供元である不動産会社に直接送信させていただきます。情報が不足している場合や、事実確認ができない場合などは対応できない場合がございます。
間違いを報告する














