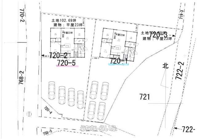
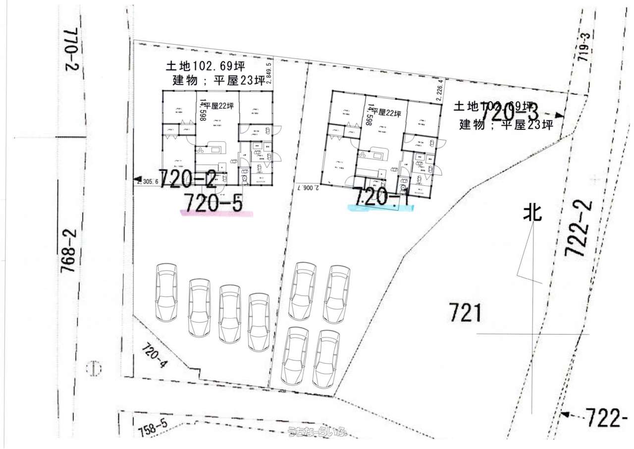
北山高校のグランド近隣の土地です♪周辺はのどかな地域ですが高校生の活気ある姿も近くにあり子育て世代の方におすすめの土地になります♪隣地102坪も同時に購入可能です♪
売買土地今帰仁村仲尾次 339㎡
価格 780万円
物件情報
| 価格 | 780万円 | 坪単価 | - |
|---|---|---|---|
| 土地面積 | 339m² / 102.54坪 | 地目 | 原野 |
| 用途地域 | 無指定・無指定 | 接道方向 / 道路幅員 | 南3.5m、 西6m |
| 建ぺい率 / 容積率 | - / - | 取引態様 | 仲介 |
| 都市計画 | 都市計画区域外 | 土地権利 | 所有 |
| 私道負担 | - | 引き渡し | 相談 |
| 交通 | 【バス停】仲尾次: 徒歩約7分 | 所在地 | 今帰仁村仲尾次 地図 |
| 価格備考 | - | ||
| 更新日 | 2026/03/17 | 公開期限 | 2026/03/30 |
この物件の設備・条件
| 立地 | 角地 、 平坦地 、 更地 |
|---|---|
| その他 | プロパンガス |
物件備考
| 備考 | ◆高さ制限・・・3階以下 軒の高さ11m以下 |
|---|
【掲載物件について】
・「うちなーらいふ」は、より正確な情報の提供を心がけておりますが、物件情報に誤りがある場合は、ご連絡をお願い致します。
・ご報告いただいた内容につきましては、掲載提供元である不動産会社に直接送信させていただきます。情報が不足している場合や、事実確認ができない場合などは対応できない場合がございます。
・本フォームは物件情報の誤りに関する報告専用です。賃貸・売買に関するお問い合わせには対応しておりませんので、あらかじめご了承ください。
こちらをクリックして物件の間違いを報告する。

















