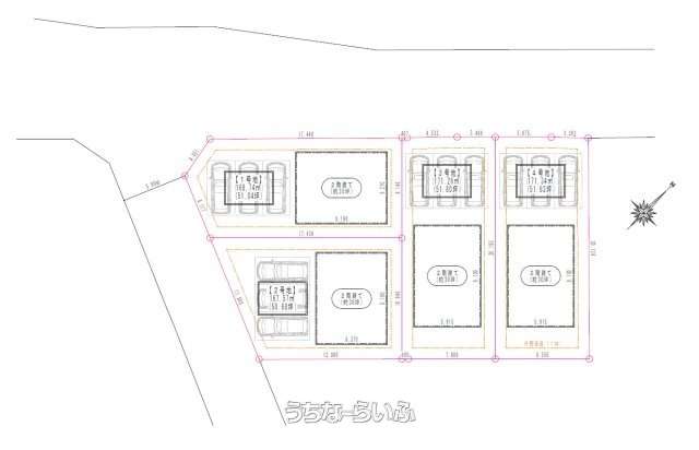
八重瀬町伊覇の区画整理地内に、全4区画の分譲地が誕生。現在、残り3区画のみとなっています。
建築条件なしのため、お好みのハウスメーカーや工務店で自由にプランニングが可能。角地を含む整った区画設計で、駐車場や庭の配置もしやすく、将来のライフスタイル変化にも対応できる敷地です。周辺にはスーパーや飲食店などの生活施設も充実し、日々の暮らしやすさも魅力。
区画整理地ならではの整備された街並みで、安心して新生活をスタートできます。検討できる区画が限られているため、ご興味のある方はぜひお早めにお問い合わせください。
売買土地八重瀬町伊覇 171.34㎡
価格 2,398万円〜2,598万円
パノラマ画像
物件情報
| 価格 | 2,398万円〜2,598万円 | 坪単価 | 46.27万円 |
|---|---|---|---|
| 土地面積 | 171.34m² / 51.83坪 | 地目 | 畑 |
| 用途地域 | 第一種低層 | 接道方向 / 道路幅員 | 北西6m |
| 建ぺい率 / 容積率 | 50% / 150% | 取引態様 | 仲介 |
| 都市計画 | 市街化区域 | 土地権利 | 所有 |
| 私道負担 | 無し | 引き渡し | 相談 |
| 交通 | 【バス停】県営屋宜原団地入口: 徒歩約3分 | 所在地 | 八重瀬町伊覇 地図 |
| 価格備考 | 別途登記費用等がかかります。お気軽にお問い合わせください。 | ||
| 更新日 | 2026/03/17 | 公開期限 | 2026/03/30 |
この物件の設備・条件
| 立地 | 更地 、 前道6m以上 |
|---|
物件備考
| 備考 | 1号地:2,598万円(168.74㎡/51.04坪) 2号地:2,398万円(167.57㎡/50.68坪) 3号地:成約済 4号地:2,398万円(171.34㎡/51.83坪) 住まいは人生の舞台。安心して次の一歩を踏み出せるように、私たちが伴走します。 ――――――――――――――――――――― 【株式会社ミカタ不動産について】 沖縄県内でマンション・戸建・土地の仲介・買取・売買を行っています。 代表も社員も不動産歴10年以上のベテラン。 「お客様の味方となり、三方良しの不動産取引を行います」を理念に、日々の業務に取り組んでいます。 ――――――――――――――――――――― 【サポート内容】 ◆住宅ローンの不安を抱えていませんか? ・いくらまで借りられる? ・どの銀行を選べばいい? こうした疑問に丁寧にお答えし、資金計画を立ててご一緒に審査準備をいたします。 ◆建築会社の紹介も可能です 土地購入後の新築や建替えをご検討のお客様には、 信頼できる建築会社をご紹介いたします。 プランニングから資金計画まで一貫してサポート可能です。 ◆現地案内・面談について 事前相談で業務時間外の対応も可能です。 安心してお気軽にご相談ください。 ◆オンライン対応可能 面談・物件案内・契約までオンラインで行えます。 遠方やお忙しい方でも安心してご相談いただけます。 ――――――――――――――――――――― 【会社情報・SNS】 ▶ 代表の経歴はこちら https://mikata-okinawa.com/daihyouaisatu ▶ LINE問合せ https://works.do/R/ti/p/mikataokinawa https://www.instagram.com/mikataokinawa ――――――――――――――――――――― 📩 info@mikata-okinawa.com 📱 オンラインでの面談・契約も対応しています 私たちは不動産のパートナーとして、安心して次の一歩を踏み出せるお手伝いをいたします。 |
|---|
【掲載物件について】
・「うちなーらいふ」は、より正確な情報の提供を心がけておりますが、物件情報に誤りがある場合は、ご連絡をお願い致します。
・ご報告いただいた内容につきましては、掲載提供元である不動産会社に直接送信させていただきます。情報が不足している場合や、事実確認ができない場合などは対応できない場合がございます。
・本フォームは物件情報の誤りに関する報告専用です。賃貸・売買に関するお問い合わせには対応しておりませんので、あらかじめご了承ください。
こちらをクリックして物件の間違いを報告する。株式会社ミカタ不動産
| 住所 | 沖縄県那覇市長田 2-12-17 地図 |
|---|---|
| 営業時間 | 09:00〜18:00 ※事前相談で業務時間外でも案内・相談のご対応可能です! |
| 定休日 | 無し |
| 免許 | 沖縄県知事免許(1)第5597号 |
























