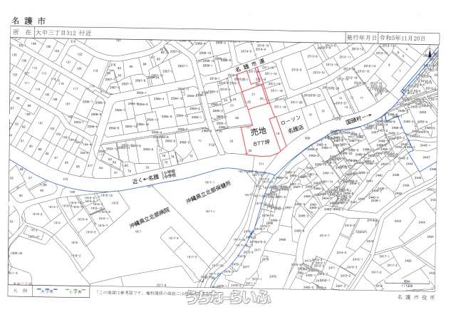
名護市の中心地で利便性良好です。ホテル用地、分譲マンション、スーパー用地等におすすめです。
売買土地名護市大中3丁目 2885.9㎡
価格 4億3,649万円
物件情報
| 価格 | 4億3,649万円 | 坪単価 | - |
|---|---|---|---|
| 土地面積 | 2885.9m² / 872.98坪 | 地目 | 宅地 |
| 用途地域 | 準住居・第一種低層 | 接道方向 / 道路幅員 | 南45m |
| 建ぺい率 / 容積率 | 60% / 200% | 取引態様 | 専属専任媒介 |
| 都市計画 | 非線引 | 土地権利 | 所有 |
| 私道負担 | 無し | 引き渡し | 相談 |
| 交通 | - | 所在地 | 名護市大中3丁目 |
| 価格備考 | - | ||
| 更新日 | 2026/03/30 | 公開期限 | 2026/04/12 |
物件備考
| 備考 | 名護市中心部 |
|---|
【掲載物件について】
・「うちなーらいふ」は、より正確な情報の提供を心がけておりますが、物件情報に誤りがある場合は、ご連絡をお願い致します。
・ご報告いただいた内容につきましては、掲載提供元である不動産会社に直接送信させていただきます。情報が不足している場合や、事実確認ができない場合などは対応できない場合がございます。
・本フォームは物件情報の誤りに関する報告専用です。賃貸・売買に関するお問い合わせには対応しておりませんので、あらかじめご了承ください。
こちらをクリックして物件の間違いを報告する。











