海中道路へ抜ける県道沿い、店舗・マンション用地!
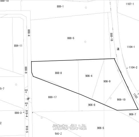
売買土地うるま市与那城西原 1678.26㎡
価格 9,250万円
物件情報
| 価格 | 9,250万円 | 坪単価 | - |
|---|---|---|---|
| 土地面積 | 1678.26m² / 507.67坪 | 地目 | 宅地 |
| 用途地域 | 第一種住居 | 接道方向 / 道路幅員 | 南東、 南、 西 |
| 建ぺい率 / 容積率 | 60% / 200% | 取引態様 | 一般媒介 |
| 都市計画 | 非線引 | 土地権利 | 所有 |
| 私道負担 | - | 引き渡し | 相談 |
| 交通 | 【バス停】西原: 徒歩約8分 | 所在地 | うるま市与那城西原 地図 |
| 価格備考 | - | ||
| 更新日 | 2026/04/21 | 公開期限 | 2026/05/04 |
この物件の設備・条件
| 立地 | 更地 |
|---|
物件備考
| 備考 | かねひで与勝店斜め向かいで買い物便利♪ |
|---|
【掲載物件について】
・「うちなーらいふ」は、より正確な情報の提供を心がけておりますが、物件情報に誤りがある場合は、ご連絡をお願い致します。
・ご報告いただいた内容につきましては、掲載提供元である不動産会社に直接送信させていただきます。情報が不足している場合や、事実確認ができない場合などは対応できない場合がございます。
・本フォームは物件情報の誤りに関する報告専用です。賃貸・売買に関するお問い合わせには対応しておりませんので、あらかじめご了承ください。
こちらをクリックして物件の間違いを報告する。(株)琉信ハウジング 中部支店
| 住所 | 沖縄県沖縄市久保田 3-11-1 プラザハウスショッピングセンター3階 地図 |
|---|---|
| 営業時間 | 月ー土 09:00〜17:00 |
| 定休日 | 土曜・日曜・祝祭日 |
| 免許 | 沖縄県知事免許(9)第2106号 |








