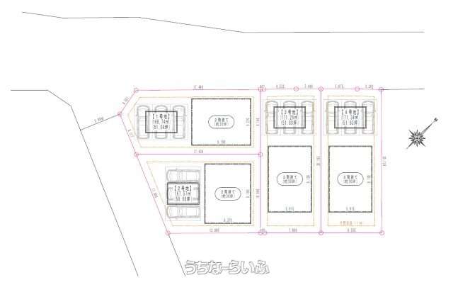
1号地☆国道507号線近くでアクセス便利。近年発展している商業地域に徒歩圏内☆自然も多く残る地域に整備された住みよい区画整理地域♪建築業実績もありますのでお見積りのご用命も賜ります♪
売買土地八重瀬町伊覇 168.74㎡
価格 2,598万円
物件情報
| 価格 | 2,598万円 | 坪単価 | - |
|---|---|---|---|
| 土地面積 | 168.74m² / 51.04坪 | 地目 | 畑 |
| 用途地域 | 第一種低層 | 接道方向 / 道路幅員 | 南西6m、 北西6m |
| 建ぺい率 / 容積率 | 60% / 150% | 取引態様 | 仲介 |
| 都市計画 | 市街化区域 | 土地権利 | 所有 |
| 私道負担 | 無し | 引き渡し | 相談 |
| 交通 | 【バス停】県営屋宜原団地: 徒歩約3分 | 所在地 | 八重瀬町伊覇 |
| 価格備考 | - | ||
| 更新日 | 2026/03/06 | 公開期限 | 2026/03/19 |
この物件の設備・条件
| 立地 | 角地 、 平坦地 、 前道6m以上 |
|---|---|
| その他 | 上水道 |
| 設備備考 | 側溝あり |
物件備考
| 備考 | 角地緩和により建ぺい率50%⇒60%あります☆ 車両乗入れし易い平坦地域 区画整理道路に側溝があり。 |
|---|
【うちなーらいふ】は、より正確な情報の提供を心がけておりますが、物件情報に誤りがある場合は、ご連絡をお願い致します。
ご報告いただいた内容につきましては、掲載提供元である不動産会社に直接送信させていただきます。情報が不足している場合や、事実確認ができない場合などは対応できない場合がございます。
間違いを報告する株式会社 朝日ホーム21
| 住所 | 沖縄県浦添市安波茶 2-10-1 地図 |
|---|---|
| 営業時間 | 09:00〜18:00 |
| 定休日 | 土曜日・日曜日・祝日・旧盆・お正月 |
| 免許 | 宅建:沖縄県知事(4)第4108号 建設:沖縄県知事(般-3)第11122号 |













