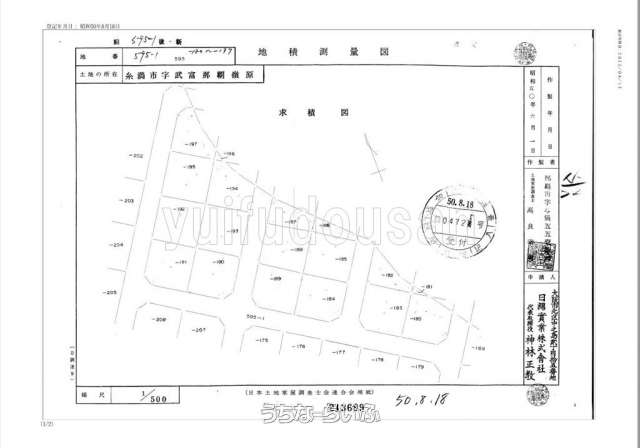
糸満市武富ハイツ内、閑静な住宅街に地形の良い売り土地出ました。
売買土地糸満市武富 204㎡
価格 2,650万円
物件情報
| 価格 | 2,650万円 | 坪単価 | 42.94万円 |
|---|---|---|---|
| 土地面積 | 204m² / 61.71坪 | 地目 | 宅地 |
| 用途地域 | 第一種低層 | 接道方向 / 道路幅員 | 北西6m |
| 建ぺい率 / 容積率 | 50% / 100% | 取引態様 | 専属専任媒介 |
| 都市計画 | 市街化区域 | 土地権利 | 所有 |
| 私道負担 | 無し | 引き渡し | 相談 |
| 交通 | 【バス停】武富ハイツ: 徒歩約5分 | 所在地 | 糸満市武富 地図 |
| 価格備考 | - | ||
| 更新日 | 2025/12/05 | 公開期限 | 2025/12/18 |
この物件の設備・条件
| 立地 | 低層住居専用地域 |
|---|
物件備考
| 備考 | - |
|---|
【うちなーらいふ】は、より正確な情報の提供を心がけておりますが、物件情報に誤りがある場合は、ご連絡をお願い致します。
ご報告いただいた内容につきましては、掲載提供元である不動産会社に直接送信させていただきます。情報が不足している場合や、事実確認ができない場合などは対応できない場合がございます。
間違いを報告する




















