那覇市首里石嶺町内の大きめ土地です。
城北小学校まで徒歩4分程度の立地なので、住居の用途にいかがでしょうか?
もしくは、老人ホームの用地としての利用など。
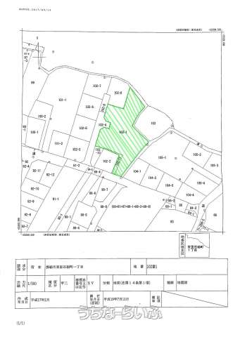
売買土地那覇市首里石嶺町1丁目 910.33㎡
価格 1億円
物件情報
| 価格 | 1億円 | 坪単価 | - |
|---|---|---|---|
| 土地面積 | 910.33m² / 275.37坪 | 地目 | 雑種地 |
| 用途地域 | 第一種低層 | 接道方向 / 道路幅員 | 南4.6m |
| 建ぺい率 / 容積率 | 50% / 100% | 取引態様 | 一般媒介 |
| 都市計画 | 市街化区域 | 土地権利 | 所有 |
| 私道負担 | 無し | 引き渡し | - |
| 交通 | 【モノレール】石嶺駅: 徒歩約5分 【バス停】平良: 徒歩約7分 | 所在地 | 那覇市首里石嶺町1丁目 地図 |
| 価格備考 | - | ||
| 更新日 | 2025/11/01 | 公開期限 | 2025/11/14 |
物件備考
| 備考 | 建築に調整が必要な要件があります。 |
|---|
【うちなーらいふ】は、より正確な情報の提供を心がけておりますが、物件情報に誤りがある場合は、ご連絡をお願い致します。
ご報告いただいた内容につきましては、掲載提供元である不動産会社に直接送信させていただきます。情報が不足している場合や、事実確認ができない場合などは対応できない場合がございます。
間違いを報告する






















