浦添南第一区画整理地事業内(供用開始時期未定)の為、現在、建築不可。近い将来、住宅などお考えの方、今のうちに土地取得はいかがでしょう。
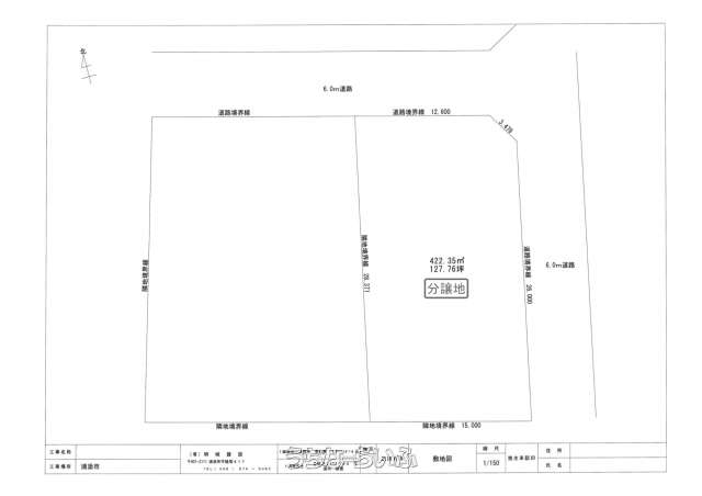
売買土地浦添市前田 422.14㎡
価格 7,000万円
物件情報
| 価格 | 7,000万円 | 坪単価 | 54.82万円 |
|---|---|---|---|
| 土地面積 | 422.14m² / 127.7坪 | 地目 | 宅地 |
| 用途地域 | 第二種低層 | 接道方向 / 道路幅員 | 北6m、 東6m |
| 建ぺい率 / 容積率 | 50% / 150% | 取引態様 | 専属専任媒介 |
| 都市計画 | 市街化区域 | 土地権利 | 所有 |
| 私道負担 | 無し | 引き渡し | 即日 |
| 交通 | 【モノレール】浦添前田駅: 徒歩約5分 【バス停】浦添前田: 徒歩約5分 | 所在地 | 浦添市前田 |
| 価格備考 | - | ||
| 更新日 | 2026/03/16 | 公開期限 | 2026/03/29 |
この物件の設備・条件
| 立地 | 角地 、 前道6m以上 、 低層住居専用地域 |
|---|
物件備考
| 備考 | - |
|---|
【掲載物件について】
・「うちなーらいふ」は、より正確な情報の提供を心がけておりますが、物件情報に誤りがある場合は、ご連絡をお願い致します。
・ご報告いただいた内容につきましては、掲載提供元である不動産会社に直接送信させていただきます。情報が不足している場合や、事実確認ができない場合などは対応できない場合がございます。
・本フォームは物件情報の誤りに関する報告専用です。賃貸・売買に関するお問い合わせには対応しておりませんので、あらかじめご了承ください。
こちらをクリックして物件の間違いを報告する。










