マンション用地154坪☆上物2棟あり(南側=立退済み(道路側),北側=立ち退き予定※建物買取費用必要になります。※立ち退き合意しています。)※現状引渡
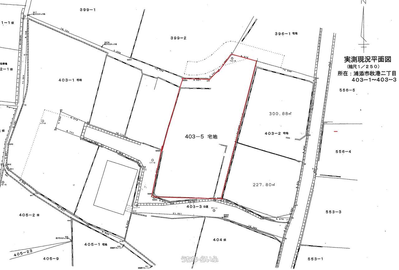
売買土地浦添市牧港2丁目 508.47㎡
価格 4,300万円
物件情報
| 価格 | 4,300万円 | 坪単価 | - |
|---|---|---|---|
| 土地面積 | 508.47m² / 153.81坪 | 地目 | 宅地 |
| 用途地域 | 第一種中高層 | 接道方向 / 道路幅員 | 南4m |
| 建ぺい率 / 容積率 | 60% / 150% | 取引態様 | 専属専任媒介 |
| 都市計画 | 市街化区域 | 土地権利 | 所有 |
| 私道負担 | 無し | 引き渡し | 相談 |
| 交通 | - | 所在地 | 浦添市牧港2丁目 地図 |
| 価格備考 | 北側建物→立ち退き費用必要です。※立ち退き合意しています。 | ||
| 更新日 | 2025/10/17 | 公開期限 | 2025/10/30 |
この物件の設備・条件
| 設備備考 | 現状引渡し |
|---|
物件備考
| 備考 | - |
|---|
【うちなーらいふ】は、より正確な情報の提供を心がけておりますが、物件情報に誤りがある場合は、ご連絡をお願い致します。
ご報告いただいた内容につきましては、掲載提供元である不動産会社に直接送信させていただきます。情報が不足している場合や、事実確認ができない場合などは対応できない場合がございます。
間違いを報告する







