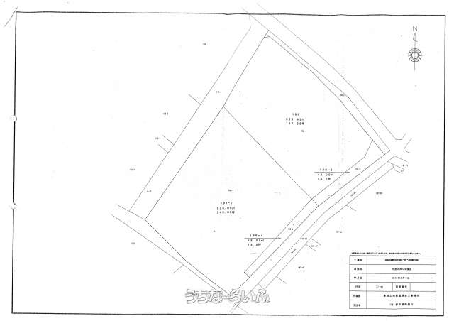
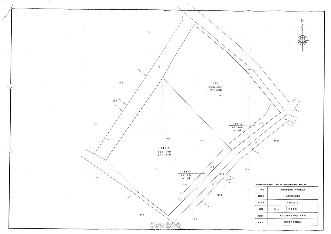
価格改定!!分譲用地やアパート建築にオススメ☆その他ご相談承ります!資料請求はきらび住宅まで!098-859-1771※セットバックあり。現在一部現況道路になります。開発許可要す
売買土地豊見城市豊見城 1624.98㎡
価格 1億500万円
物件情報
| 価格 | 1億500万円 | 坪単価 | 21.36万円 |
|---|---|---|---|
| 土地面積 | 1624.98m² / 491.55坪 | 地目 | 宅地 |
| 用途地域 | 第一種低層 | 接道方向 / 道路幅員 | 北東4m |
| 建ぺい率 / 容積率 | 50% / 100% | 取引態様 | 仲介 |
| 都市計画 | 市街化区域 | 土地権利 | 所有 |
| 私道負担 | - | 引き渡し | 相談 |
| 交通 | 【モノレール】奥武山公園駅: 徒歩約30分 【バス停】豊見城: 徒歩約3分 | 所在地 | 豊見城市豊見城 |
| 価格備考 | - | ||
| 更新日 | 2026/04/28 | 公開期限 | 2026/05/11 |
物件備考
| 備考 | 54㎡セットバック済み 91.55㎡現況道路 開発許可要す |
|---|
【掲載物件について】
・「うちなーらいふ」は、より正確な情報の提供を心がけておりますが、物件情報に誤りがある場合は、ご連絡をお願い致します。
・ご報告いただいた内容につきましては、掲載提供元である不動産会社に直接送信させていただきます。情報が不足している場合や、事実確認ができない場合などは対応できない場合がございます。
・本フォームは物件情報の誤りに関する報告専用です。賃貸・売買に関するお問い合わせには対応しておりませんので、あらかじめご了承ください。
こちらをクリックして物件の間違いを報告する。

























