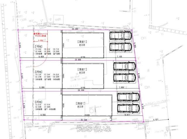
【1号地】3区画分譲中!建物解体済みです。ローソン、サンエー西原シティ近く!(^^)!※区画の色分けに関してはイメージとなりますので、現状と異なる場合があります。
売買土地西原町津花波 173.36㎡
価格 1,798万円
物件情報
| 価格 | 1,798万円 | 坪単価 | - | 
|---|---|---|---|
| 土地面積 | 173.36m² / 52.44坪 | 地目 | 宅地 | 
| 用途地域 | 無指定 | 接道方向 / 道路幅員 | - | 
| 建ぺい率 / 容積率 | 60% / 200% | 取引態様 | 一般媒介 | 
| 都市計画 | 市街化調整区域 | 土地権利 | 所有 | 
| 私道負担 | 無し | 引き渡し | 相談 | 
| 交通 | 【バス停】津花波: 徒歩約3分 | 所在地 | 西原町津花波 地図 | 
| 価格備考 | - | ||
| 更新日 | 2025/10/30 | 公開期限 | 2025/11/12 | 
この物件の設備・条件
| 立地 | 平坦地 | 
|---|---|
| その他 | 上水道 、 下水道 | 
物件備考
| 備考 | 西側道路と敷地の間に擁壁があり、その部分に関しては建築出来ません。 全体面積173.36㎡(52.44坪)崖下面積150.92㎡(45.65坪) 崖の部分が2mの場合は崖から1.5倍を離して建築となります。 2m×1.5=3mとなり有効面積は130.77㎡(39.55坪)となります。 ※登記簿上の面積と実測面積が異なる場合がございます。 | 
|---|
【うちなーらいふ】は、より正確な情報の提供を心がけておりますが、物件情報に誤りがある場合は、ご連絡をお願い致します。
ご報告いただいた内容につきましては、掲載提供元である不動産会社に直接送信させていただきます。情報が不足している場合や、事実確認ができない場合などは対応できない場合がございます。
間違いを報告する(有)ビッグ開発
| 住所 | 沖縄県那覇市曙 3-6-1 地図 | 
|---|---|
| 営業時間 | 09:30〜17:30 | 
| 定休日 | 年末年始、GW(5月3日・5月4日)、他弊社指定日あり ※9/6、9/7、9/14店休日 | 
| 免許 | 沖縄県知事免許(7)第2986号 | 

 住居用
 住居用 事業用
 事業用 土地
 土地 駐車場
 駐車場 土地
 土地 マンション
 マンション 一戸建て
 一戸建て その他
 その他


































