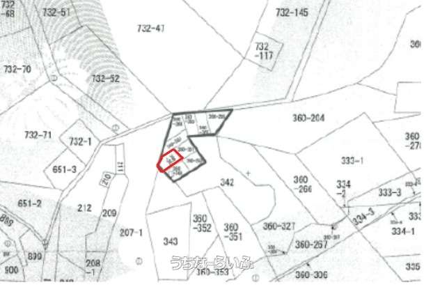
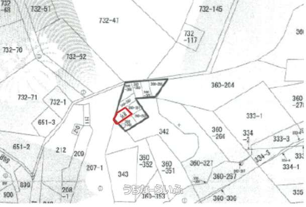
名護市辺野古【キャンプシュワブ】 
★倍率:45.99倍★ 
★年間借地料:106,320円★
※宅地見込地 ※単独名義 
その他名護市辺野古 315㎡
価格 489万円
物件情報
| 価格 | 489万円 | 所在階/階数 | - | 
|---|---|---|---|
| 建物面積 | - | 土地面積 | 315m² / 95.28坪 | 
| 私道負担 | - | 土地権利 | 所有 | 
| 間取り | - | ペット | - | 
| 築年月 | - | 地目 | 山林 | 
| 引渡し | 相談 | 都市計画 | - | 
| 用途地域 | - | 取引態様 | 専任媒介 | 
| 建ぺい率 / 容積率 | - / - | 所在地 | 名護市辺野古 | 
| 接道方向 / 道路幅員 | - | 構造 | - | 
| 交通 | - | 価格備考 | - | 
| 更新日 | 2025/10/31 | 公開期限 | 2025/11/13 | 
物件備考
| 備考 | ぜひお問合せお待ちしております! 【てぃーだカンカン不動産コザ店】 098-923-3955 | 
|---|
【うちなーらいふ】は、より正確な情報の提供を心がけておりますが、物件情報に誤りがある場合は、ご連絡をお願い致します。
ご報告いただいた内容につきましては、掲載提供元である不動産会社に直接送信させていただきます。情報が不足している場合や、事実確認ができない場合などは対応できない場合がございます。
間違いを報告する
 住居用
 住居用 事業用
 事業用 土地
 土地 駐車場
 駐車場 土地
 土地 マンション
 マンション 一戸建て
 一戸建て その他
 その他




