喜仲公民館向かい!お気軽にお問い合わせ下さい♪
賃貸駐車場うるま市喜仲3丁目 喜有会駐車場
賃料3,000円
物件情報
| 賃料(月) | 3,000円 | 空き台数 | 2台 |
|---|---|---|---|
| 手数料 | 3,000円 | 保証金 | 2,400円 |
| 料金備考 | ※契約時必要書類・車検証 ・免許証(コピー)・銀行印 ・通帳(沖縄銀行・琉球銀行・海邦銀行)※車庫証明発行の場合は保証金として別途¥10,000円を預かりしております。 | ||
| 車庫証明 | 可 / 10,000円 | 所在地 | うるま市喜仲3丁目 |
| 保証会社 | 加入要 | ||
| 更新日 | 2026/01/05 | 公開期限 | 2026/01/18 |
物件備考
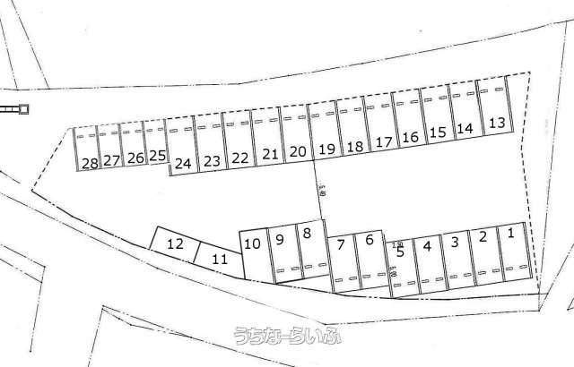
| 備考 | (現在:⑨㉖空き) ※25~28番は軽自動車限定となります |
|---|
【うちなーらいふ】は、より正確な情報の提供を心がけておりますが、物件情報に誤りがある場合は、ご連絡をお願い致します。
ご報告いただいた内容につきましては、掲載提供元である不動産会社に直接送信させていただきます。情報が不足している場合や、事実確認ができない場合などは対応できない場合がございます。
間違いを報告する








